VÍDEOS: Furacão Otis atinge o México com ventos de até 265 km/h

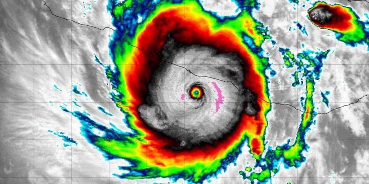
uracão Otis nas primeiras horas desta quarta-feira com categoria 5 muito perto da costa do México e se aproximando de Acapulco
A reprodução em parte dos conteúdos da MetSul é autorizada desde que citada a fonte e publicado o hyperlink para o original https://metsul.com/furacao-monstro-de-categoria-5-ruma-diretamente-para-acapulco/ .
Na madrugada desta quarta-feira (25), o furacão Otis atingiu o México, perto de Acapulco, com ventos de 265 km/h, categoria 5, ameaçando causar catástrofes com ventos destrutivos, chuvas fortes e tempestades, disse o Centro Nacional de Furacões dos Estados Unidos.
Segundo as informações do centro, em horário local, por volta das 0h25, Otis atingiu a costa com velocidade de 265 km/h, por poucas horas, os ventos diminuíram para 210 km/h, com os ventos perigosos com força de furacão estendendo-se até 50 km do centro de Otis.
Leia também:
Furacão Norma de categoria 3 avança em direção ao México
O Centro de Furacões também informou que às 3h, o furacão já estava a cerca de 40 km ao norte-noroeste de Acapulco, e que a tempestade deverá enfraquecer rapidamente à medida que avança para o interior e sobre os terrenos mais elevados do sul do México, onde deve se dissipará na noite desta quarta-feira (25).
Alerta
Na terça-feira (24), diante o perigo do furacão, o presidente mexicano, Andrés Manuel López Obrador, pediu aos residentes do litoral do estado de Guerrero, que inclui a cidade de Acapulco, que procurassem abrigo e se mantivessem longe de rios, riachos e barrancos antes da chegada da tempestade. Acapulco possui cerca de 800 mil habitantes.
“Esta é uma situação extremamente séria para a área metropolitana de Acapulco, com o núcleo do furacão destrutivo provavelmente chegando perto ou sobre aquela grande cidade na manhã de quarta-feira, Não há registo de furacões nem perto desta intensidade nesta parte do México.”, disse o centro de furacões na noite de terça-feira.
Veja o vídeo:
Outros alertas
Os alertas do Centro de Furacão continuam na costa de Punta Maldonado, a oeste de Zihuatanejo. A previsão é de que o furacão crie tempestades que provavelmente provocarão “ondas grandes e destrutivas” e inundações potencialmente fatais em torno da área onde atingiu a costa.
Os andares superiores de edifícios altos correm maior risco de ventos fortes do que aqueles mais próximos do nível do solo, devido os ventos “extremamente destrutivos”, disse o centro.
Além disso, são esperados até 200 mm de chuva até o final da semana, com algumas áreas registrando até 500 mm de precipitação. As fortes chuvas podem causar inundações repentinas e urbanas, bem como deslizamentos de terra em áreas de terreno mais elevado.
De acordo com Phil Klotzbach, cientista pesquisador do departamento de ciências atmosféricas da Universidade Estadual do Colorado, em um período de 12 horas, Otis se intensificou rapidamente ao longo da terça-feira (24), ganhando 130 km/h e se tornou o furacão de intensificação mais rápida na história do Pacífico Oriental.
Para contextualizar, a rápida intensificação dos furacões significa que os ventos máximos sustentados da tempestade aumentaram em pelo menos 55 km/h em 24 horas ou menos.
Otis, o novo recordista
O furacão Patricia em 2015, que atingiu o solo como um furacão de categoria 4 com ventos de 240 km/h, havia sido o mais forte da região, atingindo um trecho montanhoso e escassamente povoado da costa, poupando as cidades de Puerto Vallarta e Manzanillo.
E embora Patricia tenha atingido a costa como uma tempestade de categoria 4, ela rapidamente degenerou e deixou um rastro estreito de graves danos, de acordo com o Centro Nacional de Furacões. Duas mortes foram relatadas como resultado direto da tempestade, disse o centro.
Segundo o banco de dados de furacões da National Oceanic and Atmospheric Administration (NOAA), antes de Otis, não havia registro de um furacão de categoria 5 no Pacífico Leste.
Confira mais um vídeo:
*com informações CNN Brasil






